wtorek, 12 listopad 2019 16:00

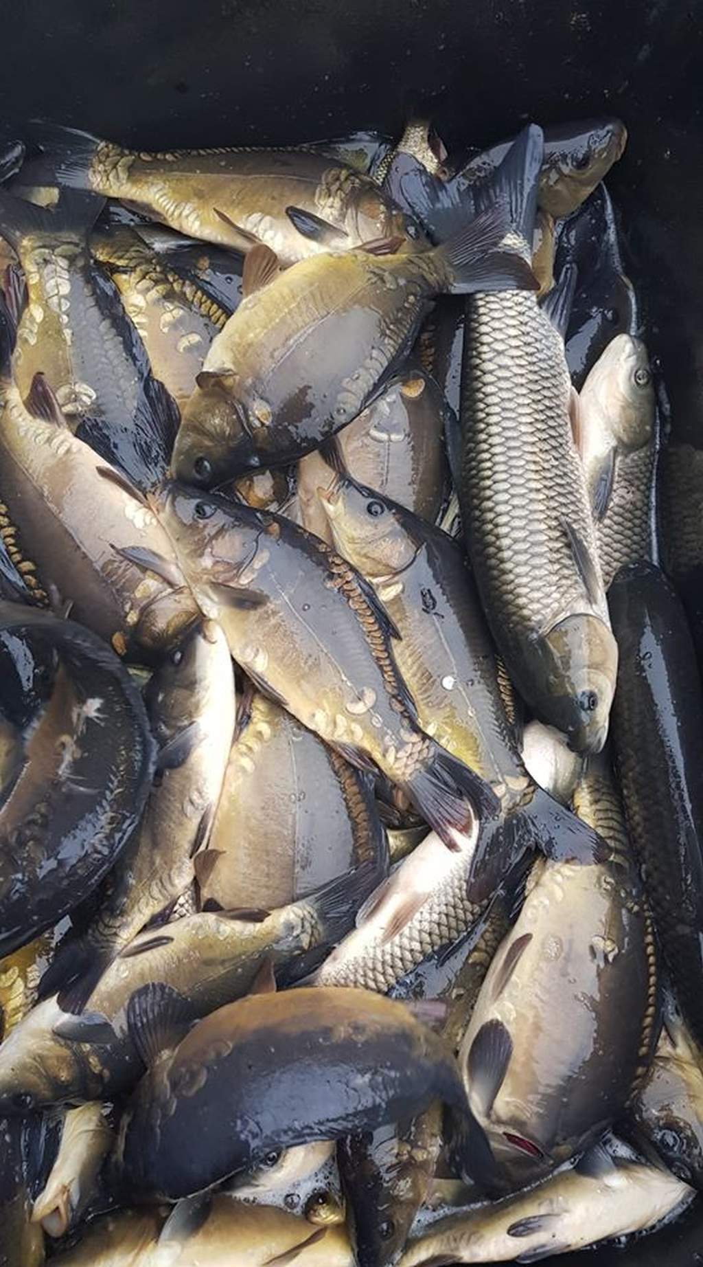
Kolejne 300 kg narybku trafia do zbiornika [Zdjęcia]

Uwaga Wędkarze!!! Zakaz wędkowania w związku z zarybianiem.

Pracownicy nadleśnictwa oraz członkowie Koła Wędkarskiego w Krynkach zarybili zbiornik Ozierany 300 kg narybku. Tym razem zbiornik Ozierany zasiedlił narybek amura, karasia, lina oraz karpia.

źródło informacji: //www.facebook.com/Nadlesnictwo.Krynki/

WW

Kontakt


POWIATOWY DOM KULTURY W SOKÓŁCE
ul. Adama Mickiewicza 11 
16-100 Sokółka

tel: 666 828 883
e-mail: Ten adres pocztowy jest chroniony przed spamowaniem. Aby go zobaczyć, konieczne jest włączenie w przeglądarce obsługi JavaScript.

REGON: 388681522
NIP: 5451823249

Reklama

Czynne od pn-pt w godzinach 8:00 - 16:00
e-mail: reklama@sokolka.tv